Une attribution présidentielle ignorée, une instruction ministérielle bafouée, des titres fonciers obtenus en fraude — l’affaire du terrain boisé de Founangué révèle jusqu’où peut aller l’impunité administrative au Cameroun.

—
Dans un pays où les conflits fonciers figurent parmi les premières sources de tensions sociales, certaines affaires devraient immédiatement mobiliser l’attention des autorités publiques. Celle qui se déroule à Maroua, dans la région de l’Extrême-Nord, est de celles-là — non seulement parce qu’elle menace la cohésion intercommunautaire dans une région déjà fragilisée, mais parce qu’elle documente quelque chose de plus grave encore : la capacité d’intérêts privés à contourner, avec la complicité de certains agents de l’État, des décisions prises au plus haut niveau de la République.
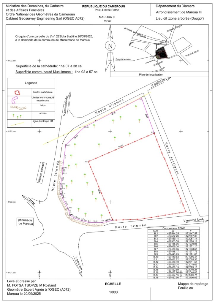
Au cœur de cette affaire, un terrain situé dans la zone boisée de Founangué, dans l’arrondissement de Maroua III. Ce terrain a fait l’objet d’une attribution présidentielle formelle à l’Association Culturelle Islamique du Cameroun (ACIC) en 2018, au bénéfice de la communauté musulmane de Maroua. Il est aujourd’hui partiellement accaparé par des titres fonciers obtenus frauduleusement, et des travaux de construction avancent malgré une instruction ministérielle formelle d’arrêt.
Pour mesurer l’ampleur de la situation, il est nécessaire d’en retracer la chronologie dans son intégralité.
—
Les origines : un projet communautaire vieux de vingt ans
L’histoire commence au début des années 2000.
Dès 2004, la communauté musulmane de Maroua initie un projet de complexe socio-culturel destiné à l’encadrement de la jeunesse, à la formation professionnelle et à l’organisation d’activités éducatives. Le financement est mobilisé à cette époque. Le 24 novembre 2008, une demande formelle d’attribution du terrain de la zone arborée de Founangué — alors occupé provisoirement par des réparateurs de motos et des marchands de friperies — est adressée par écrit au Préfet du Département du Diamaré. Ce courrier, dont copie figure dans les pièces du dossier, émane des Jeunesses Islamiques du Cameroun, Comité Provincial de l’Extrême-Nord.
—
2011 : une première décision présidentielle
Lors du passage du Président de la République dans la région pour la campagne présidentielle de 2011, le Diocèse de Maroua-Mokolo formule également une demande d’attribution du même terrain. Le Chef de l’État tranche en faveur de cette sollicitation, tout en indiquant que la portion d’espace restante doit être réservée à la communauté musulmane. C’est le premier arbitrage présidentiel sur ce dossier.
Dans les années qui suivent, le Diocèse engage des travaux d’agrandissement qui empiètent sur la portion destinée à la communauté musulmane et procède à la construction d’un mur de séparation sur l’espace qui lui avait pourtant été réservé. Cette évolution est perçue comme une remise en cause unilatérale des instructions du Chef de l’État.
—
2018 : une attribution formelle, une nouvelle fois contournée
Face à ces manœuvres persistantes, une attribution formelle est accordée en 2018 par la Présidence de la République à l’Association Culturelle Islamique du Cameroun (ACIC) — organisation créée en 1963, reconnue comme association religieuse par décret présidentiel N°88/319 du 7 mars 1988, et qui représente légalement la communauté musulmane de Maroua dans ce dossier. Cette attribution porte sur le reliquat du terrain boisé de Founangué, d’une superficie initiale de 1 hectare 07 ares 57 centiares.
Malgré cette décision formelle, la situation sur le terrain ne se normalise pas. En février 2022, l’Association pour la Promotion des Œuvres Sociales de la Communauté Musulmane de Maroua écrit directement au Président de la République pour l’alerter sur le fait que le Diocèse fait fi de ses instructions et continue d’occuper l’espace qui avait pourtant été attribué à la communauté musulmane.
Deux décisions présidentielles — l’une en 2011, l’autre en 2018 — n’auront donc pas suffi à régler la question sur le terrain.
—
Une nouvelle menace : des titres fonciers obtenus en fraude
La situation prend une tournure plus complexe lorsque plusieurs particuliers parviennent à faire établir des titres fonciers sur cette même parcelle déjà attribuée.
Selon le recours gracieux préalable déposé par Maître Alioum Oumarou, avocat de l’ACIC, devant le Ministre des Domaines, du Cadastre et des Affaires Foncières le 7 janvier 2026, six titres fonciers ont été identifiés à ce stade :
— TF N°16740, immatriculé au nom de Djara Oumarou, 1 000 m² ;
— TF N°16721, immatriculé au nom de Haieta, 1 000 m² ;
— TF N°16720, immatriculé au nom de Ousmanou Diabi, 500 m² ;
— TF N°16719, immatriculé au nom de Hecheked, 500 m² ;
— TF N°16741, immatriculé au nom de Djouleiyatou Mana, 1 000 m² ;
— TF N°16742, immatriculé au nom de Souaibou Madi, 1 000 m², ce dernier disposant en outre d’au moins quatre autres titres fonciers sur la même parcelle.
Ces titres représentent, pour ceux identifiés à ce jour, au moins 5 000 m² de la parcelle attribuée à l’ACIC. Le recours de l’avocat précise que ces particuliers auraient agi « de connivence avec les autorités administratives locales » et que leurs titres sont entachés de fraude au regard de l’article 9 du Décret n°76-165 du 27 avril 1976 : la loi subordonne l’obtention d’un titre foncier sur le domaine national à une occupation ou exploitation effective de l’immeuble, condition que les titulaires concernés ne remplissent manifestement pas. Des permis de bâtir auraient également été délivrés dans les mêmes conditions irrégulières.

—
Septembre 2025 : les travaux commencent, la communauté alerte
En dépit des contestations, des travaux de construction sont engagés sur la parcelle au cours de l’année 2025. Les constats réalisés sur place font état de la délimitation du terrain par des tôles, de l’abattage d’arbres, de la construction d’un mur, de fondations avancées et du stockage de matériaux de construction.
Le 9 septembre 2025, vingt organisations de la société civile représentant la communauté musulmane de Maroua adressent un courrier au Préfet du Département du Diamaré, lui signalant les travaux en cours et lui demandant d’intervenir pour faire cesser l’empiètement sur la parcelle attribuée à la communauté. Ce courrier, signé par l’imam Mohamadou Bachirou Sale en qualité de porte-parole, restera sans effet immédiat sur le terrain.
—
Décembre 2025 : une instruction ministérielle bafouée
C’est ici que l’affaire prend sa dimension la plus grave.
Le 7 octobre 2025, l’Instance de Coordination de la Communauté Musulmane pour la Promotion de la Paix et le Développement Durable saisit formellement le Ministre de l’Administration Territoriale. Le 11 décembre 2025, le Ministre Atanga Nji Paul adresse une correspondance marquée URGENT — référencée N°002997/MINAT/SG/DAJ — au Gouverneur de la Région de l’Extrême-Nord, lui demandant d’instruire le Préfet du Diamaré de mettre fin à toutes les transactions foncières sur la parcelle et d’en assurer la jouissance effective à l’ACIC.
Cette instruction ministérielle aurait dû mettre un terme immédiat à la situation.
Il n’en est rien.
Le 2 janvier 2026, l’ACIC adresse une lettre de remerciements au Ministre pour son intervention — et signale dans la même correspondance que les travaux entrepris par des tiers se poursuivent clandestinement, au mépris des instructions formelles du Ministre.
Une attribution présidentielle de 2018 ignorée. Une instruction ministérielle formelle de décembre 2025 bafouée. Ce double constat est la démonstration la plus claire des défaillances que cet article s’emploie à documenter.
—
2026 : la procédure judiciaire
Face à l’échec des voies administratives, l’ACIC engage une procédure judiciaire en début d’année 2026. Le 7 janvier, son avocat dépose un recours gracieux préalable devant le Ministre des Domaines pour demander le retrait des titres fonciers frauduleux. Le 10 février, une sommation d’arrêter les travaux, de supprimer les ouvrages réalisés et de cesser le trouble est délivrée.
Le 19 février 2026, Souaibou Madi, l’un des titulaires de titres fonciers identifiés, s’oppose formellement à la sommation par voie d’huissier, par l’intermédiaire de son avocat Maître Seidou Florent. Il revendique la propriété du terrain sur la base de son titre foncier N°16742 du 18 février 2025 et conteste l’existence d’une attribution présidentielle en l’absence, selon lui, de document produit à l’appui.
L’affaire est désormais devant les juridictions.
—
Ce que cette affaire révèle du système
Au-delà de la parcelle de Founangué, cette affaire met en lumière des dysfonctionnements structurels du système foncier camerounais : la délivrance de titres fonciers sur des terrains déjà attribués, la complicité présumée de certains agents locaux dans des procédures d’immatriculation irrégulières, l’absence de coordination entre les services administratifs, et — le fait le plus préoccupant — l’incapacité de l’administration à faire respecter ses propres décisions, même lorsqu’elles émanent du niveau ministériel.
Ces dysfonctionnements ne sont pas de simples erreurs de procédure. Ils constituent des vecteurs de conflits dans un pays où la question foncière touche à des enjeux économiques, identitaires et sécuritaires. La région de l’Extrême-Nord, déjà confrontée à des défis considérables, n’a certainement pas besoin d’un nouveau facteur de tension intercommunautaire.
—
La responsabilité de l’État
Dans un État de droit, les obligations de l’administration sont claires : sécuriser juridiquement les attributions foncières, prévenir et sanctionner les fraudes administratives, assurer l’exécution des décisions publiques. Lorsque ces obligations ne sont pas remplies, ce ne sont pas seulement des citoyens qui se retrouvent exposés aux conflits — c’est la crédibilité de l’État lui-même qui se trouve entamée.
L’instruction du Ministre de l’Administration Territoriale en décembre 2025 démontre que l’État sait ce qui se passe à Founangué. La question n’est donc pas celle de l’information, mais celle de la volonté et des moyens de faire appliquer les décisions prises.
L’État fera-t-il respecter sa propre parole ?
—
Une pétition pour prévenir un conflit
Face à cette situation, des organisations de la société civile de l’Extrême-Nord ont décidé d’alerter l’opinion publique et d’interpeller les autorités au plus haut niveau, jusqu’au Président du Sénat. Une pétition a été lancée pour demander le retrait des titres fonciers établis irrégulièrement, l’arrêt des travaux et la sécurisation juridique définitive du terrain attribué à la communauté musulmane de Maroua.
👉 Signer la pétition : https://www.change.org/p/restituer-le-terrain-bois%C3%A9-de-founangu%C3%A9-%C3%A0-la-communaut%C3%A9-musulmane-5baad028-372b-4b66-996e-625524eb20ff
—
Conclusion
Au fond, cette affaire pose une question qui dépasse largement la parcelle de Founangué.
Qu’est-ce qu’une décision de l’État vaut, si elle peut être ignorée pendant des années sans conséquence pour ceux qui l’ignorent ? Qu’est-ce qu’une instruction ministérielle signifie, si elle peut être bafouée le lendemain de sa réception ? Et qu’est-ce que la confiance des citoyens dans la République devient, lorsque la légalité n’est pas la même pour tous ?
Un terrain attribué par le Chef de l’État en 2018. Une instruction ministérielle formelle en décembre 2025. Des travaux qui continuent en février 2026. Ce n’est pas une histoire d’erreur administrative. C’est une histoire d’impunité organisée.
La loi n’est pas une option. Elle est le socle de notre vivre-ensemble.
Franck Essi
29 mars 2026
#Maroua
#Cameroun
#CeQueJeCrois
#AllumonsNosCerveaux

Merci pour l’éclaircissement sur cette affaire Monsieur le chercheur, bon vent et surtout beaucoup de courage
J’aimeJ’aime